2640 Boucherie Road
Offered at: $399,900
MLS®: 10372130
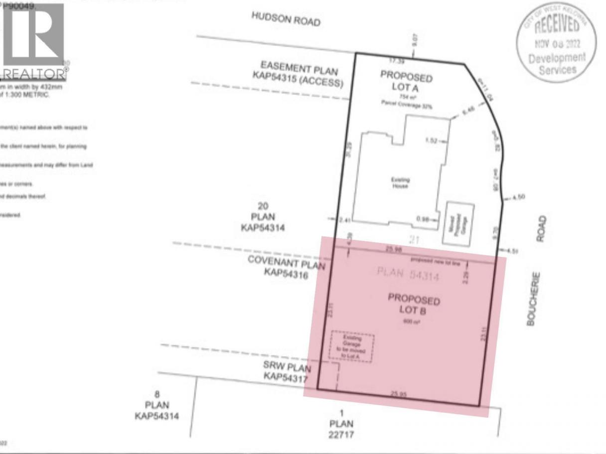
FULLY SERVICED LOT in West Kelowna's Wine Belt, Lakeview Heights. The subdivision awaits final registration. Services connect and deliver capacity for up to 4 units. West Kelowna adopted new BC regulations. R1 zoning now permits duplexes with secondary suites. The lot's wide frontage supports straightforward construction with 50% site coverage and 3-story height allowance.Build a duplex. Construct a single-family home with suites. Design your vision from scratch. Mission Hill Winery sits nearby. Grizzli Winery stands nearly next door. Quails' Gate Winery lies minutes away. Wine trails wind through the neighbourhood. Schools, shopping, and Okanagan beaches complete the location. Downtown Kelowna sits just minutes down the road. No builder restrictions tie your hands. No construction deadlines pressure your timeline. Flexible building guidelines let you create at your own pace. The Lakeview Heights location blends lifestyle appeal with strong future value. This wine corridor address attracts buyers and renters alike. The seller wants this gone. (id:6769)
Quick Stats
Key Home Data
0
BATH(S)
BED(S)
Contact for
SQFT
YES
SHOWING AVAILABLE
Property Type:
Vacant Land Home Ownership:
Freehold
Payment Calculator
Calculate your monthly mortgage payment.
Mortgage Amount
$
Amortization
years
Payment Freq.
Interest Rate
%
Calculating...
All About the Details
See specific details below.
Neighbourhood Statistics
Get to know your neighbourhood.


Royal LePage Kamloops Realty