1490 10 Avenue Southwest
Offered at: $2,390,000
MLS®: 10371498
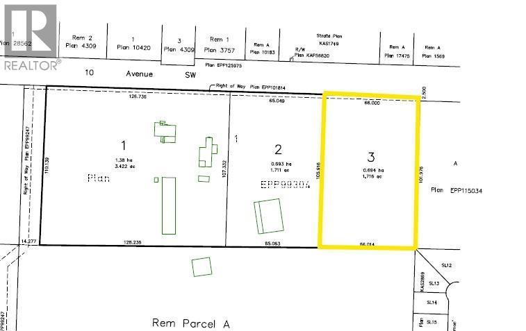
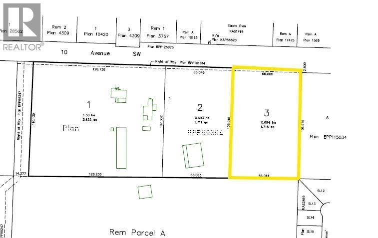
Zoned C6 this level 1.7 acres in a high profile location offers a great location and will be fully serviced on to the property. C6 zoning has a wide variety of uses including ground floor commercial with residences on upper levels. Located on 10th Avenue and backing onto green space this prime location offers over 200 feet of road frontage with easy access from both directions, and to TCH. Walkable to Piccadilly Mall, Save-On Foods, Canadian Tire, many other local businesses and parks. Easy access to Trans Canada Highway and an only 2km drive to the downtown core. (id:6769)
Quick Stats
Key Home Data
0
BATH(S)
BED(S)
Contact for
SQFT
YES
SHOWING AVAILABLE
Property Type:
Vacant Land Home Ownership:
Freehold
Payment Calculator
Calculate your monthly mortgage payment.
Mortgage Amount
$
Amortization
years
Payment Freq.
Interest Rate
%
Calculating...
All About the Details
See specific details below.
Neighbourhood Statistics
Get to know your neighbourhood.


Royal LePage Kamloops Realty