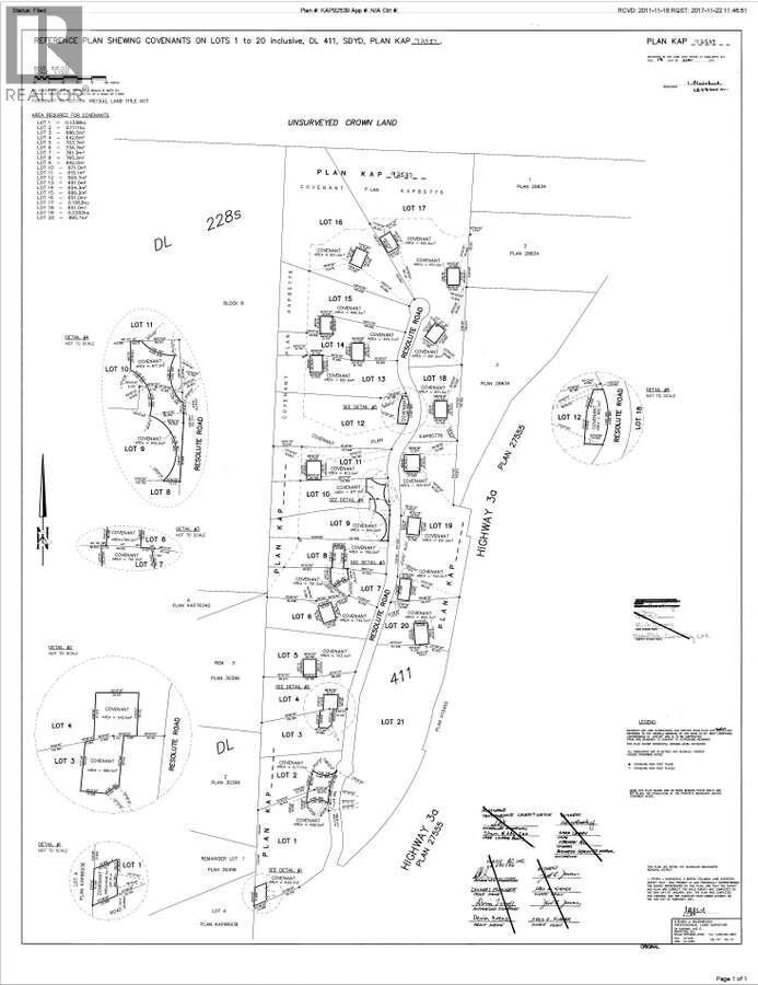
184 Resolute Road
Offered at: $158,000
MLS®: 10345491
For more information, please click Brochure button. Nestled in the picturesque Marron Valley, This lot presents a rare potential chance to craft your ideal home amidst 3 acres of scenic beauty. Positioned at the end of a cul-de-sac road, this parcel offers ample space and privacy within a community of just 22 family-centric lots. Have freedom to design your dream dwelling, complemented by breathtaking vistas. Buyers will need to construct an access road, yet rest assured, essential amenities are in place. A drilled well and government-approved septic covenant ensure seamless living, while power is conveniently available at the lot line. Furthermore, the property has been meticulously surveyed, guaranteeing precision in your plans. Zoned SH3, this lot permits the construction of both a primary residence and a carriage house, providing versatility and potential for an envisioned lifestyle! (id:6769)
Quick Stats
Key Home Data
0
BATH(S)
BED(S)
Contact for
SQFT
YES
SHOWING AVAILABLE
Property Type:
Vacant Land Home Ownership:
Freehold
Payment Calculator
Calculate your monthly mortgage payment.
Mortgage Amount
$
Amortization
years
Payment Freq.
Interest Rate
%
Calculating...
All About the Details
See specific details below.
Neighbourhood Statistics
Get to know your neighbourhood.


Royal LePage Kamloops Realty