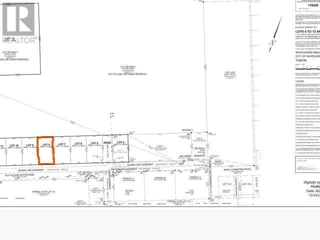
164 Tlingit Road
Offered at: $378,347
MLS®: 16538
Welcome to Whitehorse's developing business park, Hammerstone! Offering a rare opportunity to build your dream enterprise in Whitehorse's most highly sought-after business district. Located close to downtown, this trending subdivision of Marwell is where you want to be. With building season upon us, NOW is YOUR OPPORTUNITY! CALL TODAY! Hammerstone Business Park Lot Details: - Located on Tlingit Street in the Marwell Industrial Area of downtown Whitehorse - Area 0.185 Ha OR 19,913 sft OR 0.457 Acres - 3- phase power transformers to area - Fiber communication - Lot is balance filled, graded, with full services to lot line - Water service is 2" - Sufficient size for commercial sprinkler systems - Tlingit street is upgraded and paved with sidewalk - Zoning is CIM - Mixed Use Commercial/Industrial (id:6769)
Quick Stats
Key Home Data
0
BATH(S)
BED(S)
Contact for
SQFT
YES
SHOWING AVAILABLE
Property Type:
Vacant Land
Payment Calculator
Calculate your monthly mortgage payment.
Mortgage Amount
$
Amortization
years
Payment Freq.
Interest Rate
%
Calculating...
All About the Details
See specific details below.
Neighbourhood Statistics
Get to know your neighbourhood.


Royal LePage Kamloops Realty